SUITE #305 9006-132 Ave Edmonton AB T5E 0Y2 Office# 780-406-1110 email: info@canadiandaralfatwa.com

Phases

Phase 1

Land Purchase ($900,000)

Thanks to our community we were able to pay $600,000 and our aim to pay it off by Ramadan 2023, please note that the remaining $300,000 is a loan given by community members, and the reason it is still outstanding is because of the delays that we encountered due to COVID-19
Time:
sdfs
365 / 365 days
Cost:
sdfs
$600,000 / $900,000 So Far Raised
Phase 2

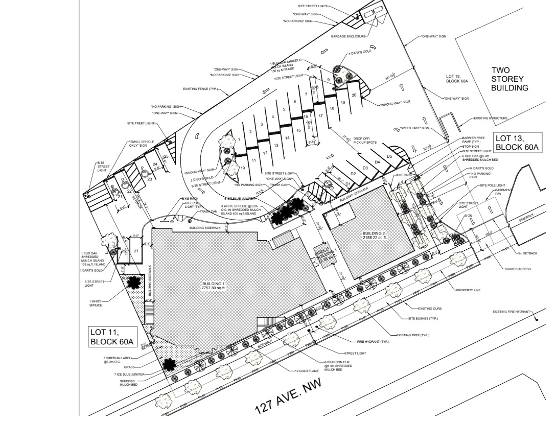
Development Permit Approval

This includes the design and consultation fees as well as the municipal development permit fees. This requires coordination with the multiple authorities from storm management to fire department, traffic department, and others. It also includes the zoning fees, lot grading fees, DP permit inspection fees, Landscape Deposit and maintenance fees.
Time:
sdfs
120 / 120 days
Cost:
sdfs
$60,488.0 / $60,488.00 So Far Raised
Phase 3

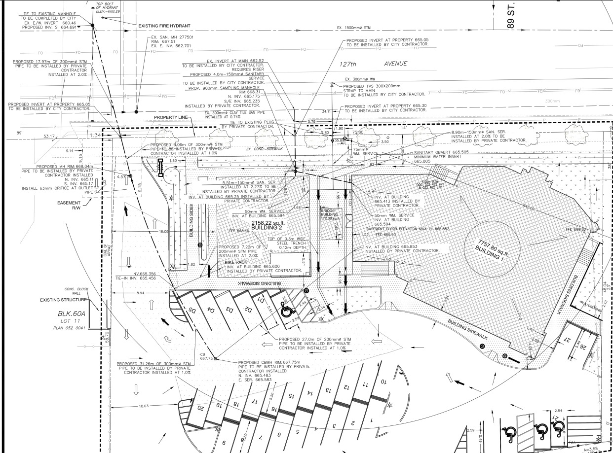
1. Lot Grading and Site Servicing Design Approval

2. Building Permit Plans and Documentation

This includes the cost of Professional services from architect(s) and Engineers to develop the required plans and documents in order to attain the building permit from the local municipality as well as to provide working plans in order for the trades and project manager(s) to prepare accurate estimates and material take-off lists for this project.
Time:
sdfs
90 / 150 days
Cost:
sdfs
$125,000.00 / $387,115.00 So Far Raised
Phase 4

1. Apply for electrical, storm, water, sanitary, and fire hydrant site services

2. Prepare property with site services mentioned in phase 5

 
Time:
sdfs
.00 / 240 days
Cost:
sdfs
$0.00 / $1,134,000.00 So Far Raised
Phase 5

1. Construction of the proposed buildings

2. Construction of the site

Time:
sdfs
0 / 730 days
Cost:
sdfs
$0.00 / $6,558,700 So Far Raised
Phase 6

Landscaping construction

Time:
sdfs
0 / 30 days
Cost:
sdfs
$0.00 / $84,520.00 So Far Raised